Im Herzen der Natur

Unsere freien Gärten

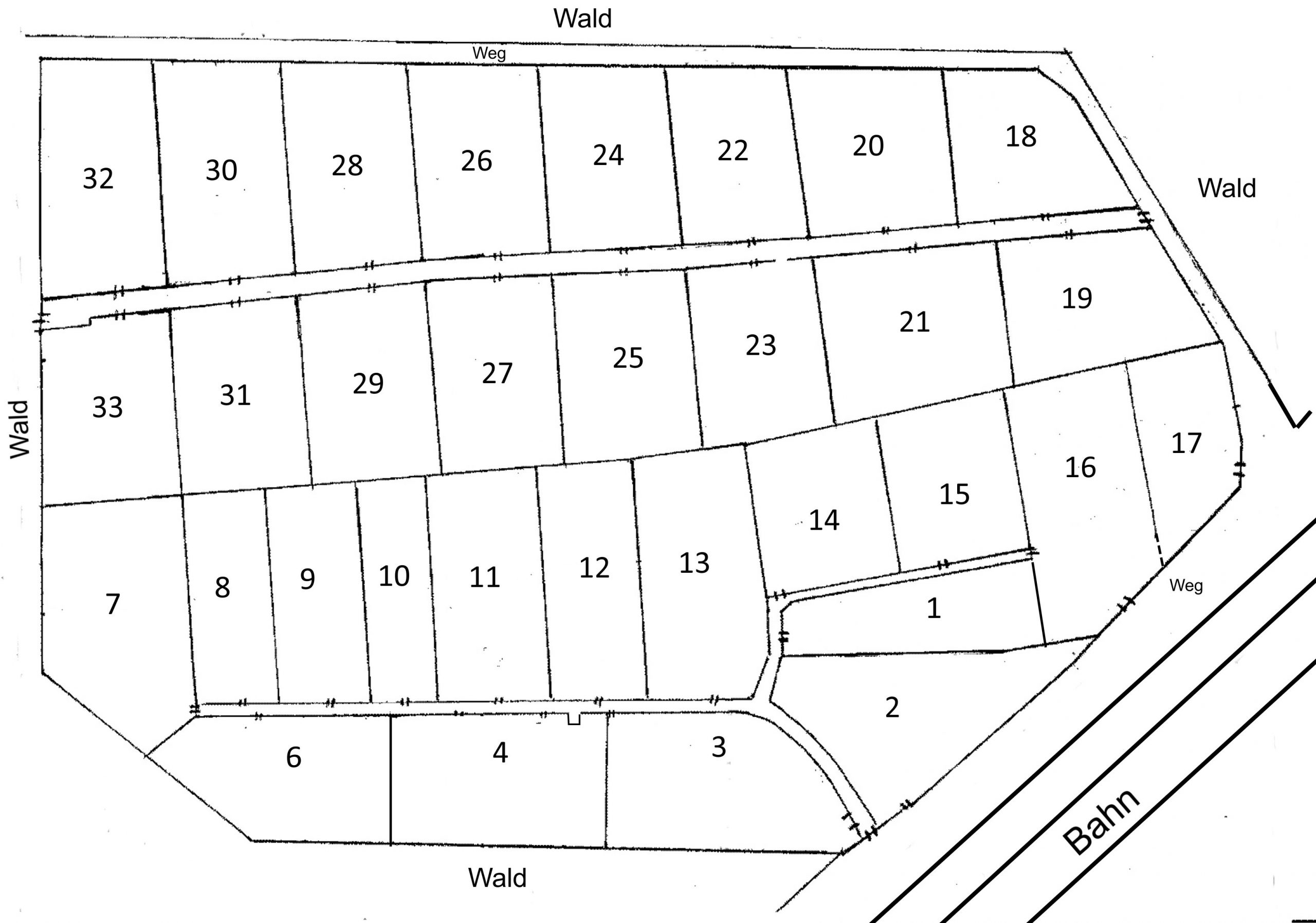
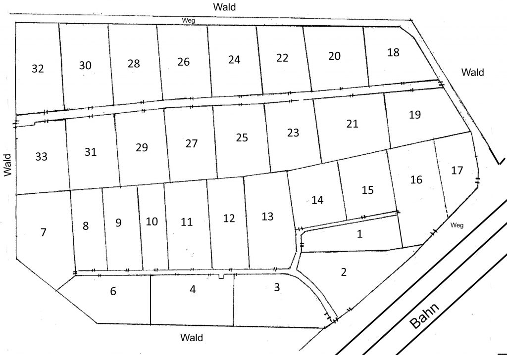
Lageskizze

Garten 25

Ideal für einen Neuanfang

Größe: 303 m²

Garten 9

Gepflegter Kleingarten

Größe: 283 m²

Wertangabe lt. Wertermittlungsprotokoll: 1055,28 €

Bei Interesse an einem der Gärten nutzen Sie bitte das Kontaktformular

WordPress Cookie Plugin von Real Cookie Banner